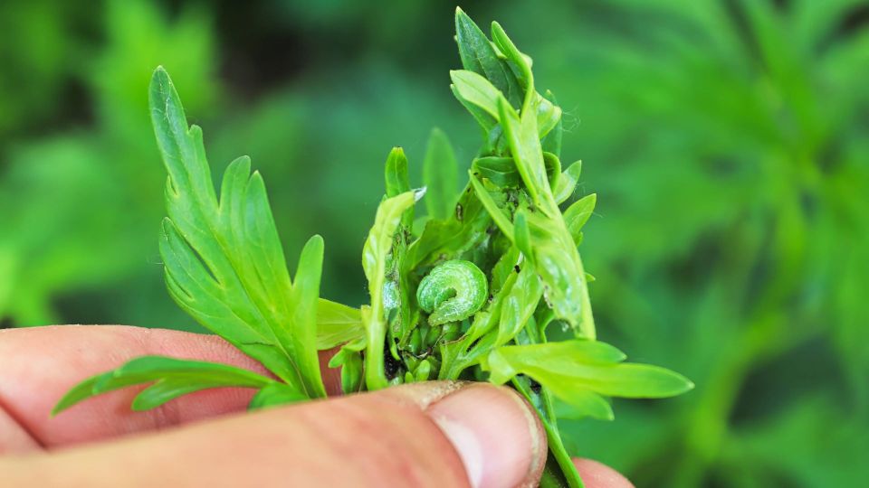
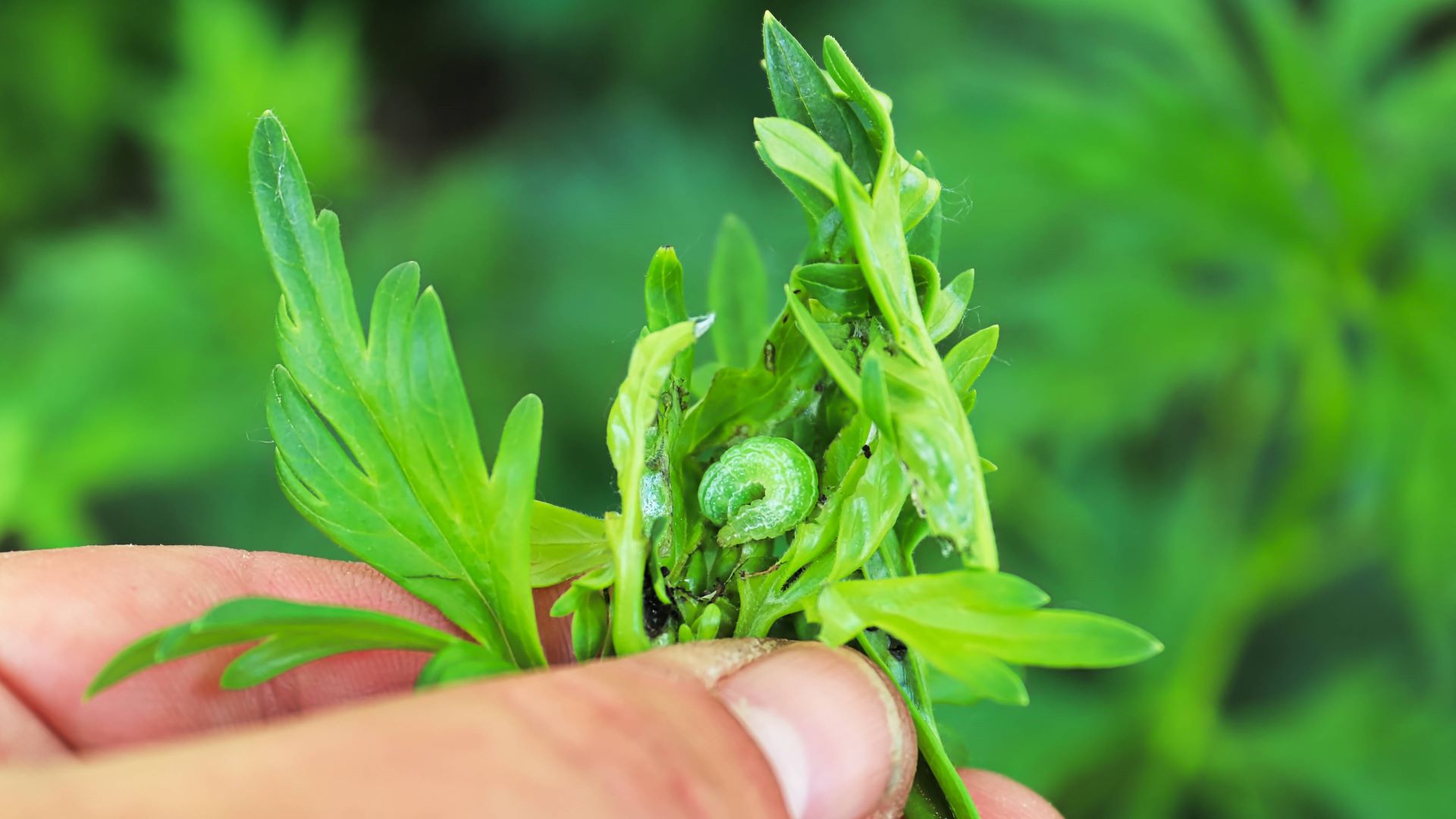
Некоторые огородники всячески избегают покупных удобрений и средств от вредителей. Вместо них они используют отвары и настои. Один из самых популярных готовится из картофельной или томатной ботвы. Считается, что такой состав способен отвадить насекомых от полезных культур.
В беседе с порталом «Городовой» агроном и биолог Елизавета Тихонова с сожалением отметила: это всего лишь миф. Паразиты не то что не боятся аромата ботвы, а преспокойно поедают ее. Кроме того, она непригодна для приготовления «болтушек».
«Единственное, может быть полезен для подкормки. Но как из обычной травы. Никаких целебных свойств», — рассказала эксперт.































